MDKA




 
Expert Testimony

MDKA provides expert testimony on historic preservation considerations in land use matters and applications for new development.

Mary Delaney Krugman, President of MDKA and the firm's Senior Preservation Specialist, holds the degrees of Bachelor of Arts (Political Science); Juris Doctor; and a Master of Science degree in Historic Preservation. She is been a member of the bar in the State of New Jersey and the District of Columbia. Currently on inactive status, she practiced law in New Jersey prior to establishing MDKA.

Ms. Krugman's education, training, and experience in both law and historic preservation make her one of the leading experts in the field and an asset to any case.


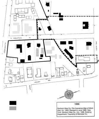
61 North Mountain Avenue  

61 North Mountain Avenue (1865; c. 1900)
Montclair, NJ

Expert witness for neighbors on an application before the Montclair Zoning Board of Adjustment for the creation of multi-family housing complex in an historic district.



Stevens Institute  

Proposed Athletic Complex, Stevens Institute of Technology
Hoboken, NJ

Consultant to neighborhood evaluating potential effects of a proposed garage building on the surrounding historic district on application before the Planning Board.




 

62 Myrtle Avenue    Montclair, NJ    07042    973-746-2810    Contact MDKA